Portions of the Carolinas have been inundated by the heaviest amount of rain on record for this region, and torrential rain is still falling. Parts of southern North Carolina and northeastern South Carolina could see another foot or more of rain through the weekend, according to the National Weather Service.
The big picture: Flood levels could hit record highs at multiple locations during the next week. For example, the Cape Fear River near Fayetteville is projected to rise nearly 45 feet, to near 62.4 feet by Tuesday. Homes within 1 mile of the river were evacuated on Saturday.
Hotels and airlines are relaxing their policies to offer refuge and support for those fleeing Tropical Storm Florence, including opening their doors for free and waving traditionally pricey rebooking fees for travelers.
The big picture: Millions were forced to evacuate before Florence hit the Carolinas hard on Friday. Conditions haven't let up as mandatory evacuations continue in parts of North Carolina. As of Saturday morning, at least seven had been killed as the storm crawls along the coast.
Massachusetts governor Charlie Baker declared a state of emergency two days after fires and explosions caused by over-pressurized natural gas lines ravaged dozens of homes throughout Lawrence, Andover and North Andover and forced evacuations of thousands of residents.
The latest: A new leak was detected Saturday morning in Lawrence as emergency crews swept the area. CBS reports that a teenager was killed and about 25 were injured from Thursday's explosions.
Speaking to the Global Climate Action Summit, California Governor Jerry Brown told the crowd that the state is working to launch a satellite to track climate change and "help the world dramatically reduce these destructive emissions."
The details: California is partnering with San Francisco-based Earth imaging company Planet Labs to build the satellite which aims to track pollutants with "unprecedented precision," and is expected to be able to detect the "point source" of climate pollutants, including super pollutants. Initial funding for the project is coming from private donors. "With science still under attack and the climate threat growing, we’re launching our own damn satellite," Gov. Brown told the audience.
North and South Carolina were hammered by Hurricane Florence after it made landfall on Friday. As of Saturday morning, at least seven have been killed as the storm continues its crawl along the coast.
The big picture: Axios' Andrew Freedman explains that the danger of Florence lies in "the surge and inland flooding from what is likely to be the worst tropical cyclone-related rainstorm in North Carolina history."
Tropical Storm Florence's relentless rain is causing devastating flooding in the Carolinas and promises even more today.
The latest: A least seven are dead — including a baby, per CNN. The National Hurricane Center reported gusts over 105 mph on the Outer Banks. "The storm's center is crawling inland over South Carolina, but its main rain bands largely are over already-saturated North Carolina — setting up what may be days of flooding for some communities."
The 2008 financial collapse did not take the renewables industry down with it — and in several ways it even proved a blessing.
The big picture: The 2009 stimulus law funneled some $90 billion into low-carbon energy initiatives, including grants for renewable electricity development in lieu of tax credits. Those grants proved vital. Longstanding tax credits are key to building wind and solar power projects, but the tax equity market collapsed alongside the financial sector.
Waffle Houses throughout the South are being used to determine the damage and stability of communities in North and South Carolina as the state rides out Hurricane Florence.
How it works: The Federal Emergency Management Agency uses the "Waffle House Index" to determine if an establishment is offering a full menu. According to FEMA, "If a Waffle House can serve a full menu, they’ve likely got power (or are running on a generator). A limited menu means an area may not have running water or electricity, but there’s gas for the stove to make bacon, eggs, and coffee: exactly what hungry, weary people need."
Hurricane Florence roared onto the North Carolina coast at a snail's pace Friday, subjecting the coastline to more than 12 hours of punishing hurricane-force winds and pushing a massive storm surge inland. Based on a weakening of sustained wind, Florence has since been downgraded to a tropical storm.
The big picture: The surge put a large portion of the community of New Bern underwater Thursday night and Friday. While winds are still gusting to greater than 100 miles per hour in some locations, the danger from here on out remains the surge and inland flooding from what is likely to be the worst tropical cyclone-related rainstorm in North Carolina history. In some areas, rain was falling at rates between 3 and 7 inches per hour.
While most of the attention in the U.S. has focused on Hurricane Florence, a far stronger storm has struck more vulnerable country, as Super Typhoon Mangkhut made landfall on the island of Luzon in the Philippines.
Why this matters: Mangkhut, which struck land Friday afternoon Eastern time, is one of the strongest typhoons to hit that country since the devastating Super Typhoon Haiyan virtually wiped the city of Tacloban off the map in 2013.
When it comes to hurricane track forecasts, the one that the National Hurricane Center issued for Hurricane Florence at 11 p.m. on September 8 may go down in history as the most accurate 5-day forecast they've ever issued — just 2 miles off target in the center of the "cone of uncertainty."
Why it matters: The average 5-day error is closer to 250 miles, to put that in perspective. The forecast provided residents of the Carolinas with 5 days of lead time to prepare for the storm, and alerted governors and emergency managers to start moving assets into position to respond to the storm.
Shares of NiSource fell nearly 10% following multiple gas explosions in several towns in Massachusetts. The company's subsidiary, Columbia Gas of Massachusetts, owns the gas pipeline investigators suspect led to the destruction of homes, injuries and at least one death.
Between the lines: The worry for investors is NiSource could face investigations and lawsuits (which, if history is any guide, will certainly be the case), and the company will suffer hefty fines or penalties.
California's new law to decarbonize electricity could drive even bigger emissions cuts in other energy sectors of the huge state, according to a new analysis by the nonprofit group Third Way.
The big picture: The law signed this week requires the world's fifth-largest economy to have 100% carbon-free electricity by 2045. And Gov. Jerry Brown issued an executive order to have the whole state become "carbon-neutral" by then.
Hurricane Florence made landfall in North Carolina around 7:15 a.m. on Friday morning. The storm's eye crossed the coast near Wrightsville Beach.
What's next: Florence is expected to move further inland across southeastern North Carolina and eastern South Carolina today and Saturday. Heavy rain, inland flooding and storm surge flooding will continue through the weekend. Axios' Andrew Freedman reported that there "are no historical analogs for Florence. Its forecast track is unprecedented, and its array and magnitude of threats are as well."
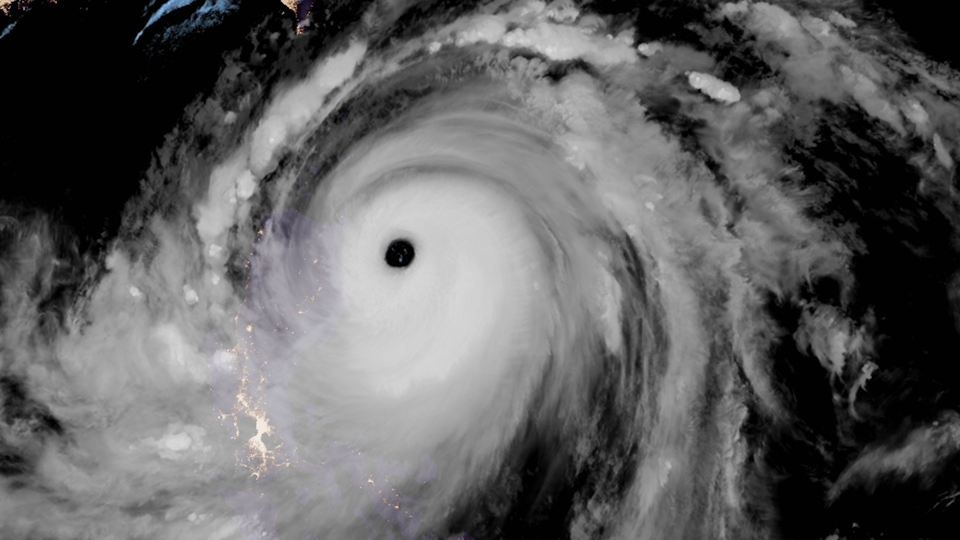
The most intense storm on Earth so far in 2018 is on track to hit the northern Philippine island of Luzon on Friday. Super Typhoon Mangkhut peaked in intensity at sustained winds of 180 miles per hour, equivalent to a Category 5 hurricane, and was expected to make landfall near full strength.
The big picture: On the other side of the world, Hurricane Florence is barreling towards the U.S. East Coast with sustained winds of 100 miles per hour. Mangkhut, with current sustained winds of 170 mph, is one of the most powerful typhoons to hit the Philippines since the disastrous Super Typhoon Haiyan ravaged the islands in 2013.
Firefighters have responded to at least 70 reported fires and explosions at homes caused by over-pressurized natural gas lines in three Massachusetts towns, according to state police, forcing neighborhoods to evacuate as first responders scramble to secure scenes and prevent further damage.
The big picture: The explosions underscore the inherent risks of relying on fuels that can be explosive, Axios' Amy Harder writes. This is likely to add to already intense opposition to natural gas across the U.S., particularly in New England. America has become increasingly reliant on the fuel over the last decade as fracking and other extraction techniques helped unlock new supplies.