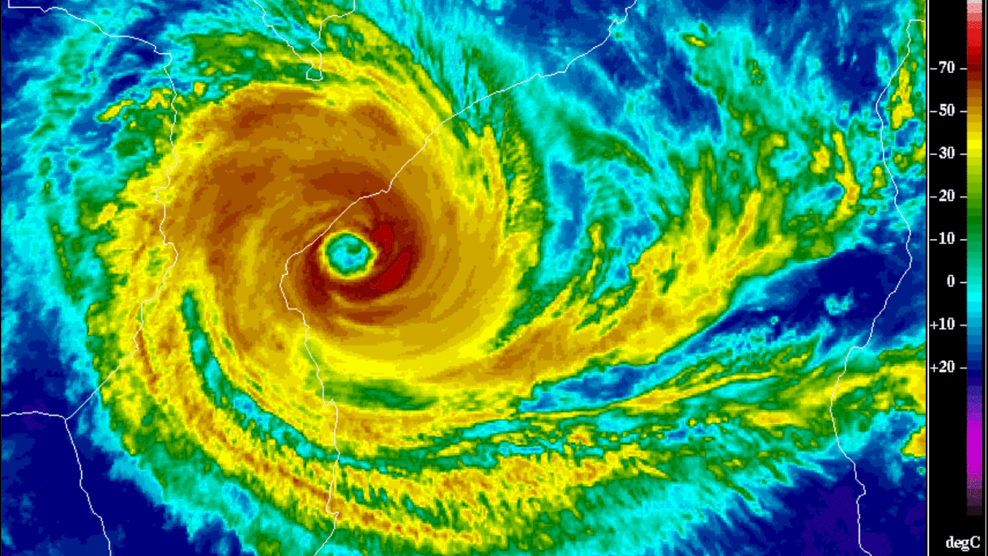
The landfall and subsequent flooding from Tropical Cyclone Idai, which struck Mozambique, Malawi and Zimbabwe last week, "risks being one of the deadliest weather-related disasters in the Southern Hemisphere," Clare Nullis, the spokesperson for the World Meteorological Organization, a UN agency, tells Axios.
The big picture: The storm made landfall as the equivalent of a Category 3 storm near Mozambique's fourth-largest city of Beira on Thursday. At least 1,000 people are believed to have died in Mozambique with thousands more injured, while officials estimate that as many as 1.5 million are at risk of water-borne diseases, starvation or other impacts from the inland flooding due to the storm.
A combination of a cold winter, rapid snowmelt due to mild air and heavy rain from a massive "bomb cyclone," and other factors led to some of the worst flooding on record in Nebraska, Iowa, Minnesota and Wisconsin, and is beginning to affect downstream states. The extreme nature of the floods — which have overtaken large parts of Offutt Air Force Base, where America's nuclear forces are coordinated — is best seen from high above.
Why it matters: The floods have wiped out farms, killed an unknown amount of livestock, marooned entire towns and destroyed large infrastructure as rivers have risen, sending surges of water and chunks of ice churning downstream. While waters are receding in many locations in Nebraska, flooding is occurring further southeast into the Mississippi River Valley.
The New York City government's maintenance costs for its electric vehicle fleet were much less per automobile than its gasoline-powered cars, city data released this month shows.
Why it matters: Municipal and corporate vehicle fleets are a growth area for EVs, and not just for environmental reasons. That's the upshot of the latest edition of a newsletter I'd never seen until yesterday: the NYC Fleet Newsletter from Citywide Administrative Services.
What they're saying: "Right now, servicing costs with our all-electric vehicle models is dramatically less than with gas, hybrid, or hybrid plug-in models," chief fleet officer Keith T. Kerman writes in the newsletter.
"In general, our hybrid models also achieve benefits from gas models, though the most dramatic results in this report are with the all electrics," he adds.
Kerman notes that with EVs, "oil change, spark plug, and air filter replacement are things of the past."
Check out the chart above, which shows the average 2018 maintenance costs for different models in the city's light-duty fleet. New York has the largest municipal EV fleet in the country, a spokesman said.
H/t to Quartz, which reported on it in more detail yesterday.
A year-old coalition of large oil and power companies working on carbon capture and storage is now under the umbrella of the National Association of Manufacturers, a powerful lobbying association, Axios has learned from lobbying disclosures and interviews.
Why it matters: The affiliation of the Energy Advance Center (EAC) — which includes Exxon, Chevron, Southern Company and Mitsubishi Heavy Industries America — with NAM arrives at an important time.
HOUSTON — A carbon tax would cost natural gas export company Tellurian Inc. hundreds of millions of dollars, but the company's founder is still backing the policy.
Driving the news: The Houston-based company has done internal modeling showing projected costs on its operations from a carbon tax, which at roughly $200 million a year would be “significant,” says co-founder Charif Souki. Tellurian announced last week it was donating $2 million to Columbia University’s Center on Global Energy Policy to research a carbon tax and related policies.
While some global policies for mitigating climate change and adapting to its effects have been put in place, there is no integrated system to track progress against those goals and evaluate the effectiveness of various approaches.
The big picture: As public and private sector leaders attempt to keep warming below 2 degrees Celsius, a blockchain-based system could allow parties to monitor which strategies to reduce carbon emissions work, which don’t, and how much each contributes.
Elon Musk was in "blatant violation" of a settlement agreement and his defense against being held in contempt "borders on the ridiculous," the Securities and Exchange Commission said in a court filing Monday.
Details: The SEC alleges Musk violated the terms after tweeting on February 19 that Tesla would build 500,000 cars in 2019. He quickly clarified in another tweet the company would build at an annual rate of 500,000 cars by the year's end but it would only build 400,000 cars in 2019. His attorney told a federal last week Musk's tweet was "immaterial." Lawyers for the SEC found it "stunning to learn" Musk had not sought pre-approval for histweets about Tesla in the months since the court-ordered pre-approval policy went into effect.
What they're saying: “Musk’s contention — that the potential size of a car company’s production for the year could not reasonably be material — borders on the ridiculous,” lawyers for SEC wrote. “His interpretation is inconsistent with the plain terms of this court’s order and renders its pre-approval requirement meaningless."
What's next: U.S. District Judge Alison Nathan, sitting in Manhattan, will decide if Musk should be held in contempt of court and whether he should be punished.
Much of the Midwest continued to be inundated with historic flooding Monday night.
The latest: The National Weather Service issued flood warnings and advisories for the Plains, the Mississippi Valley, and parts of the Ohio Valley region.
The big picture: Vice President Mike Pence would survey the damage from the "terrible flooding" in Nebraska Tuesday, White House Press Secretary Sarah Huckabee Sanders said.
Two-thirds of the town of Hamburg, just east of the Missouri river, was "lost,"Iowa Gov. Kim Reynolds said, according to NBC News, and 42 of Iowa's counties had declared emergencies.
Mills County Emergency Management Director Larry Hurst told the Des Moines Register nobody knew when the water would subside, as it continued to smash through a levee break near the point where the Platte and Missouri rivers converge at Plattsmouth Toll Bridge. "I've got water all the way to the Loess Hills, he said. "There's water on this entire basin."
Why it matters: At least three people have died in ferocious flooding in the regions around the Platte and Missouri rivers, caused by melting snow and heavy rain from the "Bomb Cyclone" in the Midwest. Nebraska Gov. Pete Ricketts said it's the worst flooding in the state for 50 years. Dams have failed, levees breached and other infrastructure stripped away as raging floodwaters and chunks of ice move downstream.
Though the official death toll is 84, more than 1,000 people are believed to have died after a cyclone hit Mozambique, the country's president said Monday.
Details: Over 100,000 people in Mozambique were injured after Cyclone Idai hit the coastal nation with the strength of a Category 3 storm, before moving inland toward Zimbabwe and Malawi, CNN reports. Mozambique’s economy relies heavily on agricultural exports, which will be heavily impacted by the flooding.
The Energy Department, Intel and subcontractor Cray Inc. announced Monday an agreement worth "more than $500 million" to provide Argonne National Laboratory in Illinois with the country's first "exascale" computer system.
Why it matters: When it begins operating in 2021, the new system, to be called Aurora, will be the most powerful supercomputer in the U.S. — more than five times faster than the current leader, which is the Summit supercomputer at Oak Ridge National Laboratory in Tennessee.
Melting snow and heavy rain from the "Bomb Cyclone" in the Midwest has caused historic flooding from the Platte and Missouri rivers.
Why it matters: Nebraska Gov. Pete Ricketts said it's the worst flooding the state has experienced in 50 years, with at least two flood-related fatalities this week. Dams have failed, levees breached and other infrastructure stripped away as raging floodwaters and chunks of ice move downstream.
OPEC on Monday said it will not meet in April as planned and will "decide instead whether to extend output cuts in June, once the market has assessed the impact of U.S. sanctions on Iran and the crisis in Venezuela," Reuters reports from Azerbaijan.
Why it matters: The momentum against a nearer-term decision is a nod to the moving pieces in the markets, emerging reports from the meeting suggest.
President Trump and congressional Republicans are increasingly outliers in an otherwise emerging consensus across America that climate change is a problem and that the government should pass new laws to address it.
The big picture: The shift has been underway for the last couple of years, driven by investor pressure, growing public concern and mounting scientific urgency. In the last several months, the fervor around the Green New Deal is accelerating this shift and accentuating Republicans’ isolation and their internal divisions — as a handful of Republicans break ranks and acknowledge the problem is real.
At least three people have died after a "bomb cyclone" dumped rain on the frozen Plains late last week, causing record flooding from ice jams and snowmelt along the Missouri and Platte rivers. Dams have been virtually obliterated, levees have failed and entire communities marooned.
The latest: Flood warnings remained in place Sunday evening across eastern Nebraska, parts of Iowa and southern Wisconsin. The National Weather Service forecast the areas would be subjected to major flooding possibly until Wednesday. The National Guard warned had earlier told Nebraskans the flooding could last for "quite some time."
Details: Nebraska Gov. Pete Ricketts said it was the worst flooding in Nebraska for at least 50 years. The National Weather Service warned hazardous flooding would likely last throughout the weekend in the state, as well as in south and west central Iowa. The worst affected area would be around the Platte and Missouri rivers.