British technology company Dyson is moving forward with its plan to build electric cars after its board approved plans to build a plant in Singapore by 2020, according to The Verge.
Why it matters: This is the next step from Dyson's announcement in 2017 to break into the electric car market, a $2.5 billion investment. The company has transformed markets by redesigning the engineering make-up of premium vacuums, hairstyling and household appliances and hand dryers.
As Tesla and CEO Elon Musk wrapped up a settlement with the Securities and Exchange Commission, the FBI deepened an investigation into whether Tesla misstated information about the production of its Model 3 sedans and if the company deceived investors back in 2017, The Wall Street Journal reports.
The big picture: The FBI requested "documents from the Department of Justice about its public guidance for the Model 3 ramp," per Tesla. In February 2017, Tesla had an aggressive production plan for the Model 3 to make 5,000 vehicles a week in the fourth quarter of that year. The FBI will compare the company’s statements with its production capability from 2017.
Few changes in modern life will hit in more radical ways than how we get around.
Already, people are abandoning cars for ride-hailing and tooling around on electric scooters. Computer-assisted driving is giving way to prototype autonomous vehicles that share the road in some cities with pedestrians, bicyclists and traditional vehicles.
The big picture: The vision is that driverless cars will chauffeur you anywhere while you relax, work or socialize. The reality is that while 99% of routine driving skills have been relatively easy for robots to achieve, the last 1% haven't — and those are crucial for safety and consumer trust.
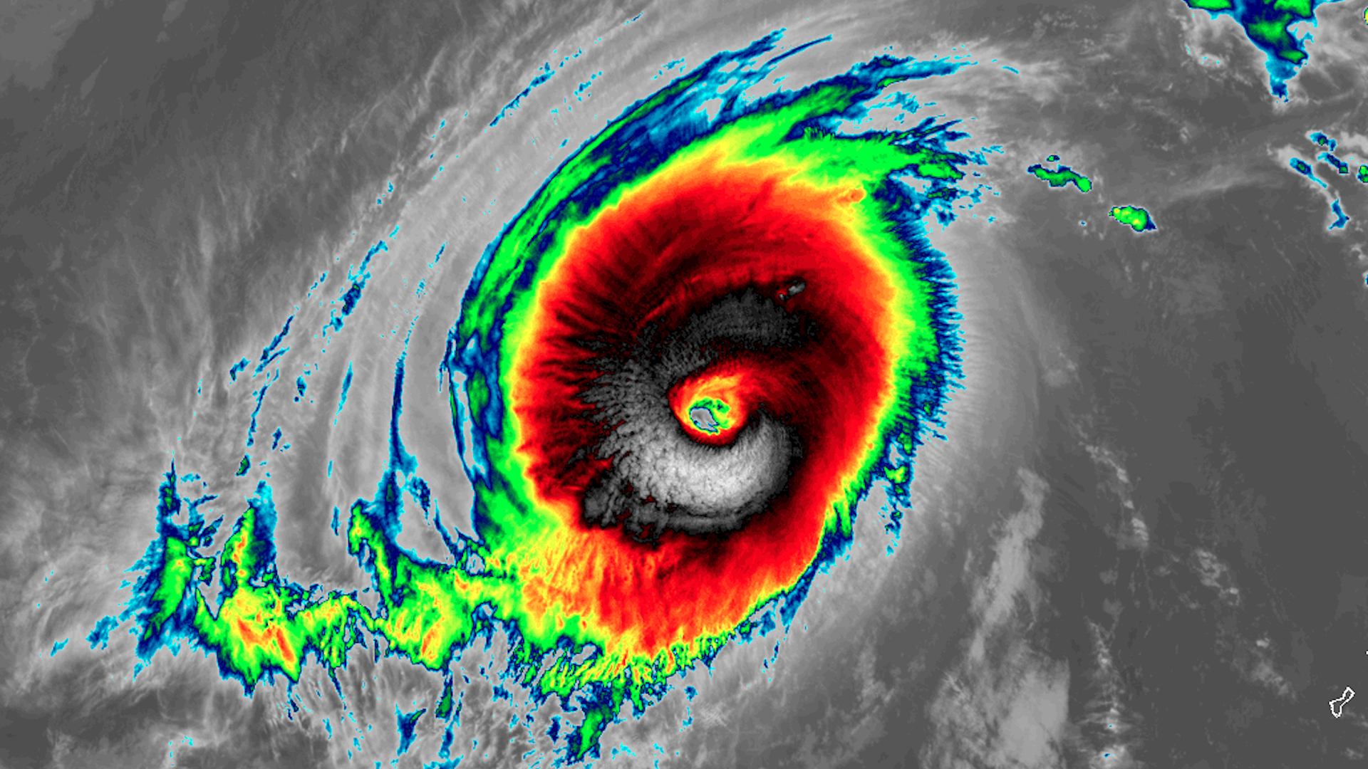
Super Typhoon Yutu, which struck the Northern Mariana Islands as the strongest tropical cyclone to hit U.S. soil since 1935, appears headed for a second significant landfall — this time in the northern Philippines.
The big picture: Super Typhoon Yutu continues to push westward, and has turned into a larger, more sprawling system with estimated maximum sustained winds of 160 miles per hour. This puts it back to Category 5 intensity on the Saffir-Simpson scale. It's forecast to intensify further, to a 165-mph monster, during the next 24 hours, before slowly weakening.
During the first wave of mobility disruption, ride-hailing companies found niches beyond the reach of traditional regulation. But as modes of transportation expand — from shared bikes and scooters to the anticipated rollout of autonomous vehicles — governments and regulatory agencies have begun to re-assert themselves.
The big picture: San Francisco, Los Angeles, Washington, D.C., and many other cities are actively setting policy, rather than merely reacting to private players. Since AVs are likely to be deployed in business models that look more similar to Lime and Bird than (classic) Uber and Lyft, cities will look to carry over the policies they develop around vehicle caps, permits, data sharing and more.
A group of roughly three dozen scientists and other energy experts are claiming a seminal United Nations report on climate change is biased against nuclear power.
Why it matters: A global entity like the UN climate panel can have a big impact on the acceptance of nuclear power, as calls to address climate change intensify and the challenges facing the nuclear industry grow around the world.