On Sept. 24, Senator Elizabeth Warren, along with seven co-sponsors, introduced the Climate Risk Disclosure Act of 2018. If enacted, this bill would require public companies to disclose a substantial amount of new information about their exposure to climate-related financial risks to the U.S. Securities and Exchange Commission (SEC).
The big picture: As climate change concerns continue to mount, members of Congress, academics and investors are calling for public companies to make increased disclosures about environmental, social and governance (ESG) matters, such as management of a company's carbon footprint.
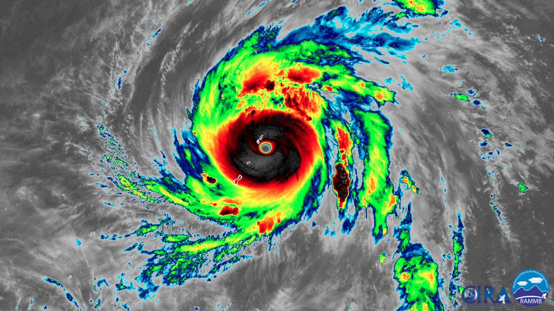
Super Typhoon Yutu hit the U.S. Commonwealth of the Northern Mariana Islands on Thursday as the strongest storm to hit U.S. soil since 1935, leaving devastating damage in its wake.
Why it matters: Per Axios' Andrew Freedman: With maximum sustained winds of 180 mph when it hit Tinian, Saipan and Rota, Super Typhoon Yutu was tied for the strongest storm seen on Earth in 2018. It was the latest in a string of major hurricanes to hit the U.S. in recent years, including 3 major hurricanes in 2017 and Hurricane Michael so far this year.
A new National Academy of Sciences report calls for a "substantial research initiative" to quickly advance technologies that directly remove carbon dioxide from the atmosphere.
Why it matters: It's a stark recognition that expansion of zero-carbon energy sources will not be enough to meet the internationally recognized goal of holding the global temperature rise below 2°C/ 3.6°F, let alone 1.5°C/ 2.7°F — which are recognized benchmarks for avoiding some of the most catastrophic effects of climate change.
Oil-and-gas giant Equinor posted a $4.8 billion third-quarter profit on Thursday morning, roughly double the amount from the same period last year.
Why it matters: The results from the multinational oil giant formerly known as Statoil show how the industry is reaping the benefits from higher oil prices even though their haul was slightly below analysts' forecasts.
Few people — except maybe Elon Musk himself — predicted Tesla's impressive third-quarter profit results, especially after the sideshow of the past three months.
Why it matters: This could be a turning point for Tesla. The operating improvements reported today suggest the company has the potential to buckle down and deliver sustained profits after losing money for much of its 15-year existence.
Why it matters: This is a bright spot for CEO Elon Musk after a turbulent few months that saw an SEC investigation and settlement that forced Musk to relinquish his chairmanship.
Super Typhoon Yutu, the strongest storm on Earth in 2018, slammed into the Northern Mariana Islands in the western Pacific Ocean on Wednesday. The storm savagely battered the islands of Tinian, Saipan and Rota, with the eye completely engulfing Tinian at midday Wednesday. Super Typhoon Yutu is estimated to contain maximum sustained winds of at least 180 miles per hour, with higher gusts.
Why it matters: This storm is the strongest typhoon ever to strike the Commonwealth of the Northern Mariana Islands, and likely the strongest ever to strike the U.S. and its territories. “This is an historically significant event,” tweeted Michael Lowry, a FEMA hurricane specialist.
New York’s attorney general filed a lawsuit Wednesday against ExxonMobil, claiming the company defrauded shareholders by downplaying the expected risk of climate change to its business.
Why it matters: This lawsuit amps up the pressure significantly on Exxon as part of a broader fight over the degree to which oil companies should be held responsible in the climate change debate. Even the mere existence of a lawsuit is bad news for Exxon and the rest of the industry, and a successful lawsuit would be game-changing.
Tesla Motors will report its third-quarter financials this evening and CEO Elon Musk will speak with analysts.
Why it matters: Even by Tesla standards, this will be a closely watched set of numbers. Musk has pledged that the Silicon Valley automaker would become profitable and cash-flow positive in the second half of the year.