NASA successfully piloted the Ingenuity Mars helicopter for its first experimental flight on Monday, briefly hovering the aircraft as NASA's Perseverance rover collected data.
Former President Obama and NBA greats Charles Barkley and Shaquille O'Neal joined forces to urge communities of color and young people to get vaccinated against COVID-19 during an NBC special on inoculations, broadcast Sunday.
Why it matters: People of color have been hit particularly hard by the pandemic. Obama noted during the broadcast that with underlying, pre-existing health conditions being more prevalent in communities of color "we're more vulnerable" to the virus.
A massive wildfire spread from the foothills of Table Mountain to the University of Cape Town Sunday, burning historic South African buildings and forcing the evacuation of 4,000 students, per Times Live.
The big picture: Visitors to the Table Mountain National Park and other nearby attractions were also evacuated and several roads, including a major highway, were closed. South Africa's oldest working windmill and the university's Jagger Library, which houses South African antiquities, were among the buildings damaged.
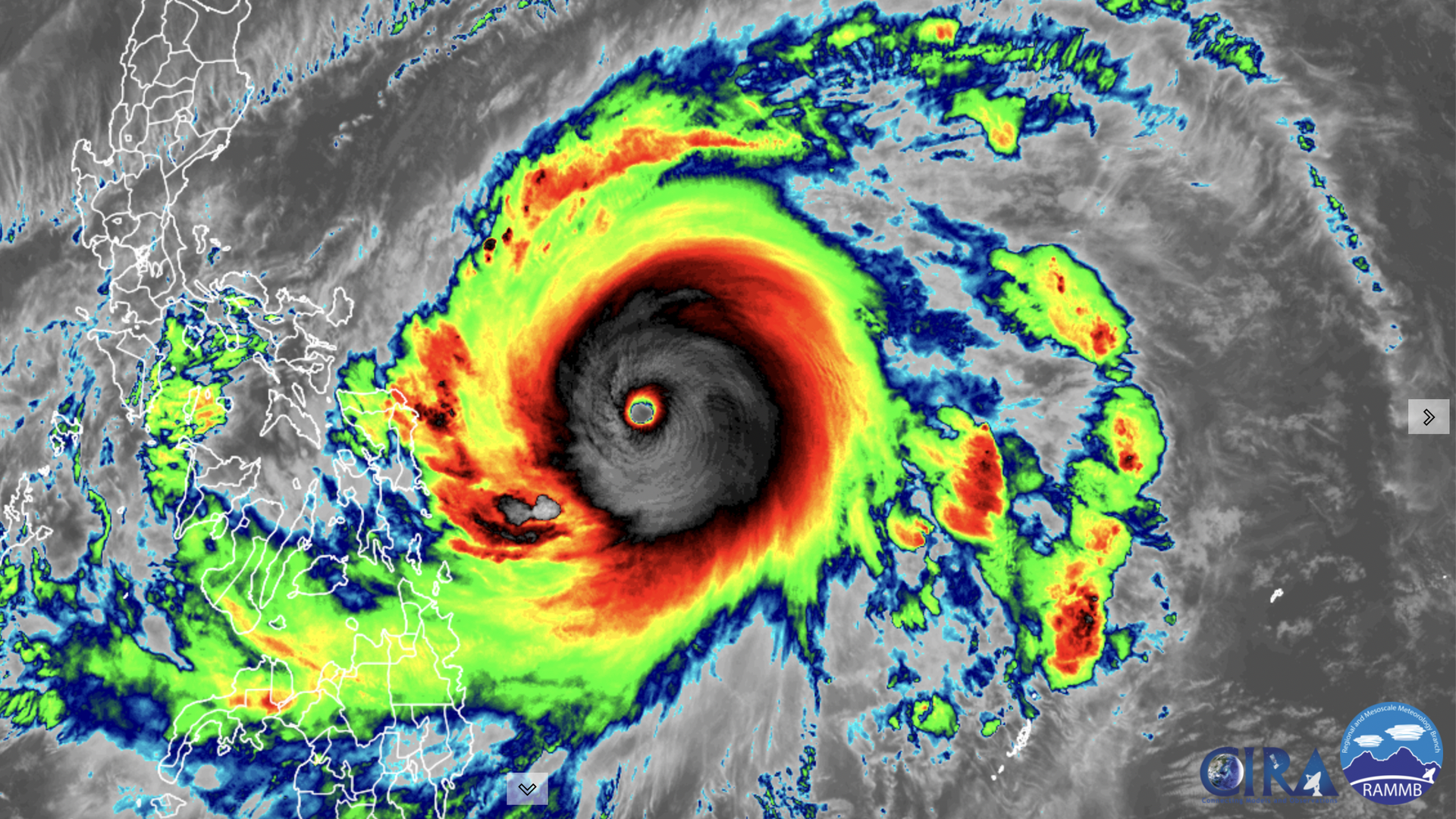
Super Typhoon Surigae surged in intensity from a Category 1 storm on Friday to a beastly Category 5 monster on Saturday, with maximum sustained winds estimated at 190 mph with higher gusts.
Why it matters: This storm — known as Typhoon Bising in the Philippines — is just the latest of many tropical cyclones to undergo a process known as rapid intensification, a feat that studies show is becoming more common due to climate change. It weakened slightly, to the equivalent of a strong Category 4 storm, on Sunday.
Ontario officials reversed new pandemic restrictions Saturday that bolstered police powers to enforce a stay-at-home order and banned playgrounds in Canada's most populous province, one day after Premier Doug Ford announced them to curb surging COVID-19 cases.
Why it matters: There was widespread criticism of the ban and a measure authorizing officers from 12:01 a.m. Saturday to require anyone not at home to provide them with "their home address and purpose for not being at their residence." Several police forces pushed back on the direction.