Former President Obama warned during a recent appearance in Europe that nationalistic forces rising around the world will spark "greater and greater conflict and greater and greater clashes between peoples."
What he's saying: Obama said that "nationalism, nativism, xenophobia, anti-immigration [sentiments] ... are dangerous traits."
Texas is generally big in all things energy (including wind, where it is top in the nation), but the Dallas Fed has an interesting note about why the state is a lagging in rooftop solar deployment.
The big picture: "Solar energy, while experiencing robust growth in recent years, still only provides 0.5 percent of Texas’ total electricity generation, with residential solar supplying a meager 0.1 percent of total generation."
Global oil prices plunged on Friday, erasing a week of gains after the U.S. said on Monday it would no longer issue waivers for Iranian oil imports. The administration's decision is likely to keep jostling oil markets as the waiver deadline approaches.
The big picture: The U.S. allowed 8 countries to buy Iranian crude and condensate over the past 6 months. The State Department has declined to address whether it will allow a “wind down” period for purchases beyond the May 2 deadline, after which importers would be immediately exposed to sanctions.
The White House said on Friday it will allow its former personnel security director Carl Kline to give limited testimony to the House Oversight Committee on May 1, Politico reports.
Why it matters: White House acting chief of staff Mick Mulvaney instructed Kline not to testify for his original April 23 subpoena date, as the House committee continues its investigation into the White House security clearance process. House Oversight Committee Chairman Elijah Cummings moved to hold Kline in contempt after he failed to appear for his deposition.
Tesla chief executive Elon Musk reached an agreement on Friday with the Securities and Exchange Commission regarding his behavior on Twitter, according to an amended filing in U.S. District Court.
Why it matters: The agreement with securities regulators removes, for now, one headache facing the electric automaker that’s in the midst of a tumultuous stretch and just reported a larger-than-expected quarterly loss on Wednesday.
Winter weather isn't giving up even as May peeks around the corner, with another batch of below-average temperatures and snow — up to 10 inches in spots — set to paste the Plains, Midwest and parts of the Northeast this weekend.
Details: Winter storm watches have been posted for parts of Montana, southeastern Minnesota, northern Iowa and southern Wisconsin, in advance of a stretch of heavy snow that could lead to challenging travel conditions. The storm system is expected to move through the region on Friday into the weekend, which, combined with a change in the jet stream, per the Weather Channel, will allow colder-than-average temperatures to strafe much of the northern portion of the country.
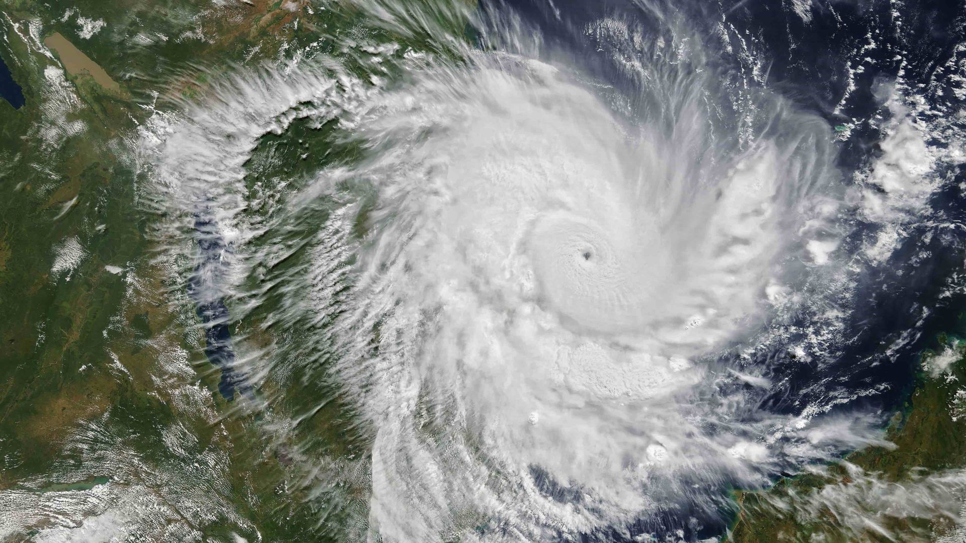
The toll from Cyclone Kenneth is beginning to emerge across northern Mozambique, one day after the Category 4 storm struck as an unprecedented event for this region, and one of the strongest cyclones to hit Africa since modern record-keeping began.
Why it matters: Mozambique is already reeling after a deadly hit from Cyclone Idai on March 14. That storm destroyed much of the city of Beira, and flooded such a vast area that it was described as having created a new "inland ocean." The international community still hasn't fully stepped up to respond to that crisis, and the UN is warning that Kenneth may necessitate "a major new humanitarian operation."
President Trump's bid to vastly expand areas available for offshore drilling is on ice — a development rooted in politics, oil markets, and the legal hurdle of unwinding a predecessor's policies.
Driving the news: A judge's ruling in March upholding President Obama's ban on Arctic development has delayed the wider 2019–2024 U.S. offshore leasing plan, Interior Secretary David Bernhardt told the Wall Street Journal.
ExxonMobil shares dipped Friday morning after the oil giant reported first-quarter revenue and profits that missed analysts' expectations, CNBC reports.
By the numbers: Revenue came in at $63.63 billion against the $64.82 billion that had been forecast, while earnings were at 55 cents per share against an expected 69 cents per share. Those profits were down nearly 50% from its 2018 Q1 profits.