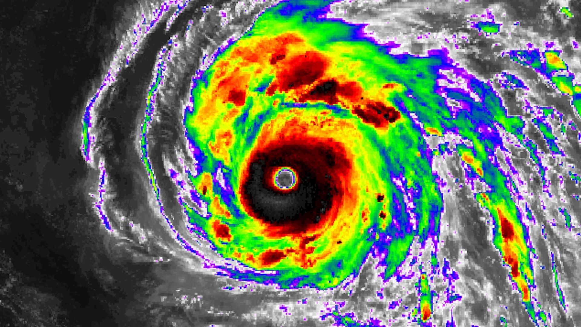
Super Typhoon Maria became a Category 5 storm for the second time in its history on Sunday, with maximum sustained winds of 160 miles per hour. The storm is over the warm waters of the Western Pacific — on a collision course with northern Taiwan, the Ryukyu Islands of Japan and coastal China early this week.
What this means: The storm is close to its maximum intensity now, but it is still projected to be a formidable Category 3 or 4 typhoon when it passes near or to the north of Taipei on July 10, before making landfall in coastal China south of Shanghai the next day.
In 2013, scientists announced that they had observed the coldest temperature on Earth near the South Pole at -135°F, but a new study re-analyzing that data found the temperature was really -144°F.
The big picture: Researchers scanning dips and hollows in the Antarctic ice sheet found that, over the last 14 years, there were many places where temperatures dropped to exactly -144°Fbut never colder,prompting them to postulate that this is the lowest possible temperature on Earth's surface.
One of Scott Pruitt's final acts as Environmental Protection Agency administrator was effectively creating a loophole "that will allow a major increase in the manufacturing of a diesel freight truck that produces as much as 55 times the air pollution as trucks that have modern emissions controls," reports the New York Times.
Impact level: The New York Times explains that "[o]ne year’s worth of truck sales was estimated to release 13 times as much nitrogen oxide as all of the Volkswagen diesel cars with fraudulent emissions controls, a scheme that resulted in a criminal case against the company and more than $4 billion in fines." The move was opposed by several health groups such as the American Lung Association, Environmental Defense Fund, United Parcel Service, and Volvo Group.
Record-shattering heat in California is sparking fires across the southern part of the state, the L.A. Times reports, causing hundreds to evacuate.
The latest: Per the Times, the holiday fire has destroyed 10-20 homes and has put upwards of 100 others at risk along the Santa Barbara County coast. The fire was still being fought on Saturday.