The U.S. Navy is moving its ships based in Pearl Harbor out to sea to limit the risk of significant damage to ships and piers in preparation of Hurricane Lane.
The details: According to the Defense Department, the 29 surface ships and submarines stationed at Naval Station Pearl Harbor "will remain at sea until the threat from the storm subsides and Hawaii-based Navy aircraft will be secured in hangars or flown to other airfields to avoid the effects of the hurricane." The ships will be repositioned in Hawaii following the storm.
Saudi Arabia has abandoned its stalled plan for going public with a portion of state oil giant Aramco, Reuters reports, citing "four senior industry sources."
A source familiar with the company's work with outside advisers and banks tells Axios: "It has been officially dead for a month or so — everyone got sent home for Ramadan and of course Eid just broke, but no one was invited back."
Why it matters: The kingdom had hoped to raise tens of billions of dollars through the IPO to help fund initiatives to diversify its oil-dependent economy away from crude oil sales.
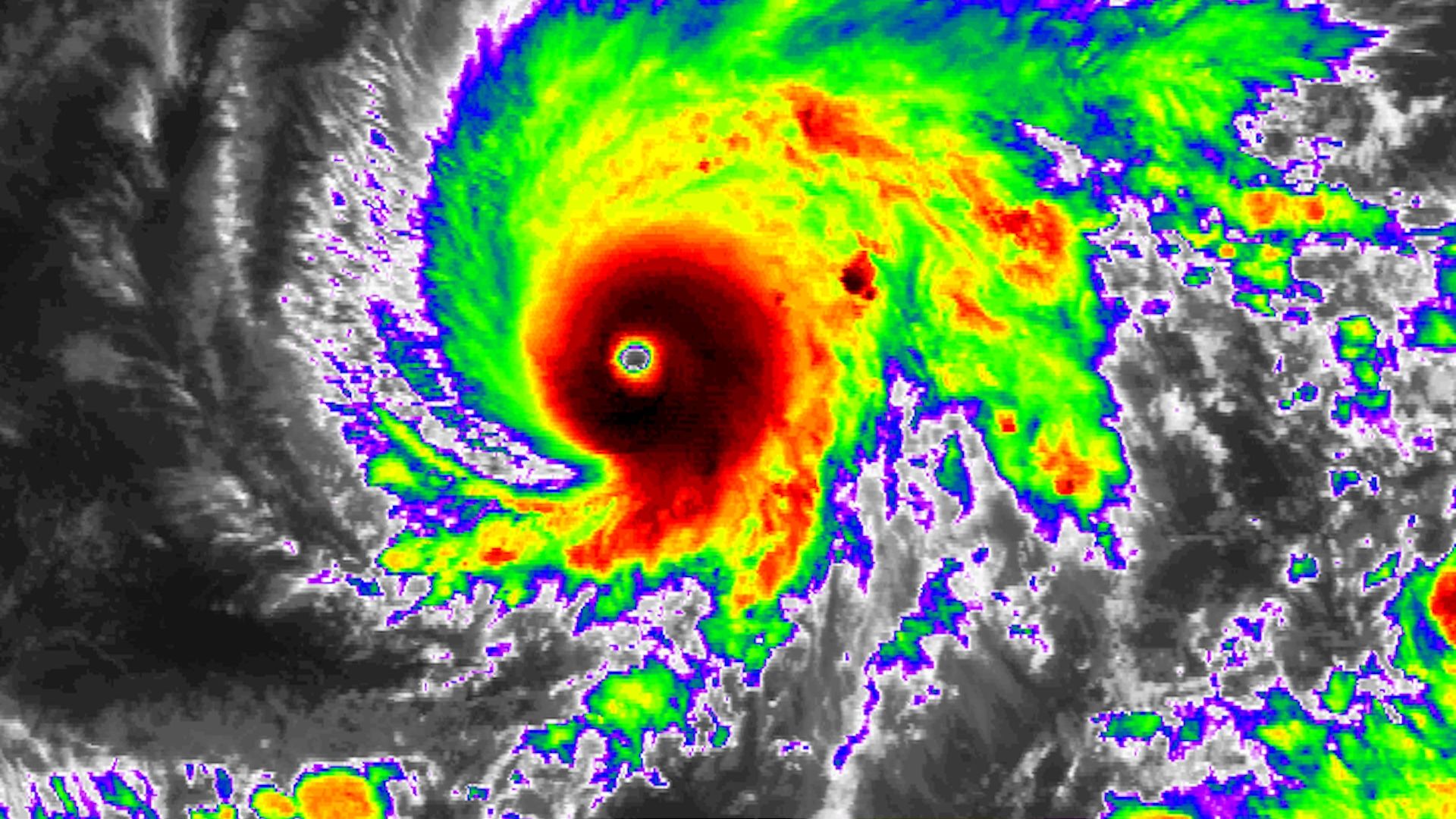
Hurricane Lane, an intense Category 4 storm, is poised to move perilously close to the Hawaiian islands later this week, according to updated forecasts on Tuesday morning. Hurricane watches, meaning that hurricane conditions could hit within 48 hours, are in effect for Hawaii and Maui counties.
The big picture: Hurricanes typically steer clear of or weaken before reaching Hawaii, due largely to cooler ocean temperatures closer to the islands. However, right now, the waters are warm enough — about 0.5°C, or 0.9°F, above average for this time of year — to support a hurricane. There is even a possibility that a weakened Lane could be the first hurricane to make landfall in Honolulu since the Hawaii's statehood.
The summer of 2018 has been noteworthy for the all-time heat records smashed around the world, from California to Sweden and Japan.
Why it matters: The heat is a sign of a warming world, scientists have said, with human-caused global warming raising the odds of heat waves as well as increasing their severity and duration.
The Environmental Protection Agency officially proposed a rule Tuesday setting limits on carbon dioxide emissions from coal-fired power plants, which replaces a far more aggressive plan issued by former President Barack Obama.
Why it matters: It’s a tacit acknowledgment by the Trump administration that it’s legally required to regulate carbon emissions — even though most officials don’t acknowledge climate change is a problem.
The Department of Homeland Security announced Tuesday it is awarding a $1.03 billion contract to Booz Allen Hamilton to boost cybersecurity vulnerability detection and mitigation in six federal agencies.
Why it matters: Almost 75% of agencies are vulnerable to cyberattacks because they don’t understand their risk, the Office of Management and Budget found earlier this year.
The Environmental Protection Agency's proposal this morning to weaken climate rules for power plants will do little to blunt the forces undercutting coal in electricity markets, several analysts tell Axios.
Share of electricity: EIA, Production: EIA; Chart: Andrew Witherspoon/Axios
Why it matters: President Trump has made efforts to cut regulations on coal — the most carbon-intensive power source — a centerpiece of his energy agenda, but the administration has few tools make substantial changes to the trajectory of the once-dominant fuel's declining share of power markets.