Axios China

September 14, 2018
Axios is adding two more newsletters to its growing empire.
- Axios Edge, Felix Salmon's must-read weekly newsletter covering the big stories that will drive the business world, launches Sunday. Sign up here.
- Next Friday Axios Autonomous Vehicles, a weekly analysis of autonomous tech, and its impact on cities, policy and the economy, will be launched. Sign up here.
Thanks for reading, and if you want a daily and deeper look at China, please check out my daily Sinocism China Newsletter and follow me on Twitter @niubi.
1 big thing: Temper expectations for U.S.-China trade talks
Illustration: Lazaro Gamio/Axios
Bloomberg reported at noon today that President Donald Trump has now directed his staff to proceed with the next round of tariffs on $200 billion of Chinese imports.
What's happening: On Thursday, the Wall Street Journal broke the news that Treasury Secretary Steven Mnuchin had extended an invitation to senior economic official Liu He to return to D.C. for another round of talks.
The other side: The Chinese side acknowledged the invitation but has not yet agreed, and between Trump's decision to move forward on the next round of tariffs and a Thursday tweet, I doubt they will accept.
Trump may have already decreased the likelihood Liu will return to D.C. by tweeting on Thursday:
The Wall Street Journal has it wrong, we are under no pressure to make a deal with China, they are under pressure to make a deal with us. Our markets are surging, theirs are collapsing. We will soon be taking in Billions in Tariffs & making products at home. If we meet, we meet?
My thought bubble: It's going to take a lot of backchannel reassurances and promises to get Liu back to D.C. The Chinese understand that there's disagreement among Trump's top advisers and Liu has been humiliated on two recent trips to D.C.
- Liu did not get even a handshake with Trump when he came to D.C. in early March.
- And, in May he thought he had reached a deal to suspend the trade war, only to have Trump reject it in a tweet.
The bottom line: That "reversal-by-tweet" methodology also shredded any remaining credibility Mnuchin had in Beijing, so unless the Chinese are hearing directly from Trump or other top members of his inner circle, they are going to be very wary.
Go deeper:
- The coming yearlong U.S. trade war with China (Axios)
- Talking Won't End Trump's Growing China Trade War Any Time Soon (Bloomberg)
- As trade war escalates, China intensifies role of state-owned enterprises (South China Morning Post)
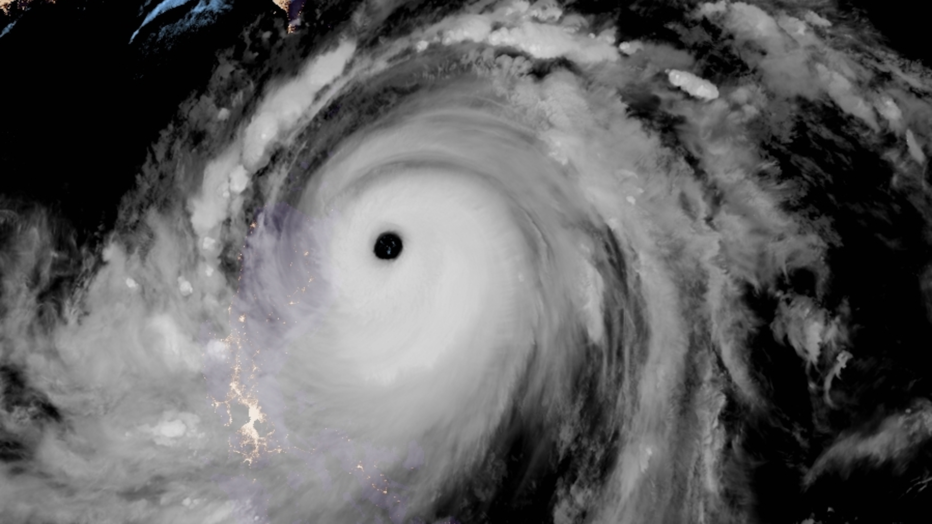
2. Super typhoon approaches China
Satellite image showing Super Typhoon Mangkhut nearing landfall in the northern Philippines. Photo: CIRA/RAMMB
The focus in the U.S. is on the awful Hurricane Florence, but in Asia an even bigger storm is about to hit.
What's happening now: Super Typhoon Mangkhut has made landfall on the island of Luzon in the Philippines and looks set to wreak havoc in Hong Kong, Macau and Southern China. As the SCMP reports:
Mangkhut is big. It has a large circulation and is already whipping up intense winds and heavy rain. From what meteorologists can see, the whirling mass of clouds is on track to be the most powerful storm to hit Hong Kong since it began collecting typhoon records in 1946.
Southern China is also preparing, per SCMP:
The Ministry of Emergency Management said on Friday night that it had mobilised more than 20,000 firefighters, nearly 600 rescue boats and 113 drones in Guangdong and Hainan provinces alone, while Guangxi and Yunnan had nearly 600 rescue workers on standby.
Earlier in the day, the China Meteorological Administration raised its storm alert twice, first to yellow and then orange, the second-highest level on its four-tier warning system, as Mangkhut moved into the South China Sea and picked up speed.
Go deeper: Super Typhoon Mangkhut strikes Philippines as a Category 5 storm
3. Uyghur mass detentions get global attention...
Indian Muslims in Mumbai hold placards during a protest against the Chinese detention of Muslim minorities in Xinjiang on Sept. 14. Photo: Punit Paranjpe/AFP/Getty Images
Various reports of around one million Uyghur Muslims being detained in mass detention camps in Xinjiang are rapidly increasing.
What we're reading:
- "Transformation" is the goal of China detaining vast numbers of Muslims, per Sunday's New York Times, in the center of the print front page.
- Human Rights Watch issued a long report on Monday on China's campaign of "eradicating ideological viruses."
- The U.S. is considering sanctions under the Magnitsky Act against senior Chinese officials involved in the crackdown, NYT reports.
- Co-chairs of the Congressional-Executive Commission on China wrote a letter to Commerce Secretary Wilbur Ross to expand the U.S. entity list to cover Chinese government and state security entities in Xinjiang, as well as businesses that may profit from security expansion in that region.
- Anwar Ibrahim, likely the next premier of Malaysia, criticized the crackdown in Xinjiang, per Bloomberg.
4. ...but China says West's efforts have failed
The PRC government, on the other hand, has taken a new tack in its defense, as Reuters reports...
“It is not mistreatment,” said Li Xiaojun, director for publicity at the Bureau of Human Rights Affairs of the State Council Information Office. “What China is doing is to establish professional training centers, educational centers.”
“If you do not say it’s the best way, maybe it’s the necessary way to deal with Islamic or religious extremism, because the West has failed in doing so, in dealing with religious Islamic extremism,” Li told reporters on the sidelines of the U.N. Human Rights Council session in Geneva.
“Look at Belgium, look at Paris, look at some other European countries. You have failed.”
"As to surveillance, China is learning from the UK,” Li said. “Your per capita CCTV is much higher than that for China’s Xinjiang Autonomous Region.”
Go deeper:
- Radio Free Asia discusses how Uyghur children are separated from their parents.
- In the journal Central Asian Survey, Adrian Zenz writes about China's political re-education campaign.
- Axios' Erica Pandey reports on China's growing surveillance over Muslims with the use of QR coding technology.
For D.C. readers, the large Uyghur community here means there are at least three very good Uyghur restaurants in the area — Dolan in Cleveland Park, Eerkin’s in Glover Park and Queen Amannisa in Arlington.
5. Google employees resign over China censorship
Google's plans to relaunch censored search services in China was revealed last month by The Intercept. Now it reports that a senior scientist has resigned over a "forfeiture" of U.S. values while in China:
Jack Poulson worked for Google’s research and machine intelligence department, where he was focused on improving the accuracy of the company’s search systems.
In early August, Poulson raised concerns with his managers at Google after The Intercept revealed that the internet giant was secretly developing a Chinese search app for Android devices. The search system, code-named Dragonfly, was designed to remove content that China’s authoritarian government views as sensitive, such as information about political dissidents, free speech, democracy, human rights, and peaceful protest...
He told The Intercept in an interview that he believes he is one of about five of the company’s employees to resign over Dragonfly. He felt it was his “ethical responsibility to resign in protest of the forfeiture of our public human rights commitments,” he said.
Why it matters: This could have implications elsewhere, as Poulson points out in his resignation letter:
“I view our intent to capitulate to censorship and surveillance demands in exchange for access to the Chinese market as a forfeiture of our values and governmental negotiating position across the globe,” he wrote, adding: “There is an all-too-real possibility that other nations will attempt to leverage our actions in China in order to demand our compliance with their security demands.”
What's next: More D.C. scrutiny of Google is coming. Reuters reports that U.S. lawmakers wants answers from Google about its China plans. If there are hearings on the Hill, expect Poulson to get an invitation.
Go deeper: The Real Google Censorship Scandal (NYT)
6. The U.S.-China fight over quantum tech
Illustration: Sarah Grillo/Axios
Axios' Kaveh Waddell reports ... As the U.S. and China struggle for dominance in artificial intelligence, they are locked in a parallel, behind-the-scenes race to master quantum technology, a contest that could result in lasting military superiority and a possible new industrial revolution.
The big picture: Though still far off, conquering quantum technology could enable uncrackable communications, supercharged radar and more deadly undersea warfare. And as of now, China has some serious advantages.
A new report from the Center for a New American Security draws on open-source material for a window into China’s quantum progress and aspirations.
- The report’s authors, Elsa Kania and John Costello, say that China has made substantial advances in some areas of quantum research, putting it in a position to overtake the U.S. in the science.
- Chinese advantages include a national vision for technological research, significant investments, and tight bonds between the private sector and the military. By comparison, the U.S. yet to enact a quantum policy, though the White House recently added a quantum expert to its tech-policy staff.
- "China’s advances in quantum science could impact the future military and strategic balance, perhaps even leapfrogging traditional U.S. military–technological advantages," write Kania and Costello.
Among the spoils of conquering the quantum space are computers that could decipher most of the world’s encrypted data, like the NSA’s store of intercepted communications, and overcome the U.S. stealth technologies on which the military heavily relies.
How they got here: China had a "Sputnik moment" in 2013, igniting a national plan that funnels billions of dollars and top scientists into quantum research, the authors write.
- Its unlikely instigator was Edward Snowden, whose leaks revealed the extent of U.S. spying in China, and sparked a feverish response meant to shore up China’s protections against cyber-espionage.
- This inflection point mirrors another three years later: an Obama administration report outlining a future U.S. artificial intelligence policy. Afterward, Beijing scrambled to put together its own, far outstripping American planning, while the Trump administration has neither engaged Obama's policy nor formulated its own.
Go deeper: Read the rest of Kaveh's story here and one on the race to build quantum economy here.
7. Wray: China is top counterintelligence priority
On Thursday, "CBS This Morning" aired an interview with FBI Director Christopher Wray. Among Wray's comments about China:
"If I look at our counterintelligence mission overall, China is our top priority in that space. ... We've had cases involving everything from turbine technology in places like upstate New York to corn seed development in Iowa..."
"They're trying to steal our trade secrets, our ideas, our innovation."
"China's goal is to take what it can and become essentially self-sufficient and put American businesses out of business."
Why you'll hear about this again: There seems to be a bit of an official campaign underway to raise awareness of PRC espionage.
- Last week's newsletter included an item about a podcast done by William Evanina, director of the National Counterintelligence and Security Center, in which he said that China is "the largest threat to our national security, bar none". The trade issues are just one piece of a much broader push back against the PRC.
- Case study: Earlier this week the WSJ published a story on how Equifax was worried about Chinese spying (before it was hacked), and what it suspected were efforts by Ant Financial to steal corporate trade secrets — an allegation Ant Financial quickly denied.
Go deeper:
8. Film star's disappearing act
Fan Bingbing attends a May 8 event at the 71st annual Cannes Film Festival. Photo: Stefania Delassandro/Getty Images
Superstar Fan Bingbing has not appeared in public in over 100 days. The June 29 newsletter item The taxman cometh for China's TV/film stars set the stage:
A scandal has been brewing over several weeks after public accusations that actress Fan Bingbing had evading taxes through the use of "ying-yang contracts" — one contract with a lower fee for the tax authorities and another with the real, much larger figure.
Now the authorities are paying attention, and look to be using the public revelations of longstanding industry practices to crackdown not only on tax evasion but also compensation and quite possibly content as well.
Buzz: Global media is paying attention. On Thursday, NYT asks "What Happened to Fan Bingbing, China’s Most Famous Actress?"
Fan Bingbing is arguably the most famous actress in China, a prolific star who has made the leap to international fame with roles in the “Iron Man” and “X-Men” franchises. She appeared in Cannes in May to promote a coming spy blockbuster with Jessica Chastain, Marion Cotillard, Penélope Cruz and Lupita Nyong’o.
She has more than 62 million followers on China’s equivalent of Twitter, Weibo, and appears in ads for products around the world — from vitamins in Australia to lipstick by Guerlain, the watches of Montblanc and the diamonds of De Beers.
Now she is missing.
My thought bubble: Since basically everyone in the film business evades taxes, one has to wonder why Fan was targeted. Did she offend the wrong person, and/or is she a very useful example for a broader campaign to rein in the entertainment industry and bring it more into line with the "Core Socialist Values" that Chinese President Xi Jinping and the Chinese Communist Party are aggressively promoting?
- And it is yet another reminder that no one in China, now matter how rich or seemingly connected to power, is safe. No wonder so many people with means want to emigrate...
9. Venezuela's president goes begging to Beijing

President Nicolás Maduro and other Venezuelan officials are in Beijing looking for help for their economic disaster. Maduro had meetings with Xi and Chinese Premier Li Keqiang on Friday, AP reports:
The two leaders reaffirmed their ties, with Maduro saying their relationship was “a model of international cooperation,” Chinese state broadcaster CCTV reported.
Maduro later met with Premier Li Keqiang, who said China was willing to provide “whatever assistance is within our means,” CCTV said.
Maduro is getting at least $5 billion more in loans, Bloomberg reported:
China agreed to extend a $5 billion credit line to cash-strapped Venezuela, the country’s finance minister said, as President Nicolas Maduro headed to Beijing.
Venezuelan Finance Minister Simon Zerpa told Bloomberg News on Thursday that the country would pay back the loan with either cash or oil. The countries were expected to sign what Zerpa described as a strategic alliance on gold mining.
Quick take: This could be good money after bad. China is already so deep into Venezuela, does it have much of a choice?
Go deeper: Trump administration joins the China-Taiwan feud in Latin America:
The big picture: China’s increasing political ties and economic heft in Latin America have been a subject of debate and concern among American analysts and policymakers for more than a decade. This diplomatic recall is the administration's latest attempt to counter Chinese outreach in the hemisphere.
10. Smart new China column to watch
The Economist Magazine has launched a new China column called "Chaguan," written by David Rennie, who just moved to Beijing after several years in D.C. for the magazine.
The inaugural column explains:
It is named after traditional teahouses, where far more than hot drink once flowed...
“Chaguan” aims to cover that China, writing about society, the economy and culture. Long ago, in a spirit of teasing respect, teahouse waiters were dubbed “tea doctors”. To be a tea doctor, patiently serving while patrons talk, seems a good ambition for a China columnist. Stoke the stove, then. To work.
11. Worthy of your time
Wall Street Journal — China and Vatican to Sign Landmark Deal Over Bishops
MacroPolo — In Xi We Trust: How Propaganda Might Be Working in the New Era
AidData — Chinese infrastructure investments reduce inequalities in developing countries
Harvard Fairbank Center for Chinese Studies Podcast — China's Great Gamble, with Barry Naughton
Reuters — How China's plan to develop rental housing backfired
Caixin — State Enterprise Debt Target Shows China Still Serious About Deleveraging
South China Morning Post — Buddha statue pulled from Sotheby’s auction on suspicion it may be from China Unesco site
The Guardian — Fans ejected from Dua Lipa Shanghai concert over gay-rights flags
Chinascope — China’s New History Textbook: Mao’s Cultural Revolution No Longer a Mistake
This week's issues of my Sinocism China Newsletter
Sign up for Axios China

Analysis and intel from Bethany Allen-Ebrahimian, authority on Beijing intrigue and intentions.




