Jan 5, 2017 - Food and Drink
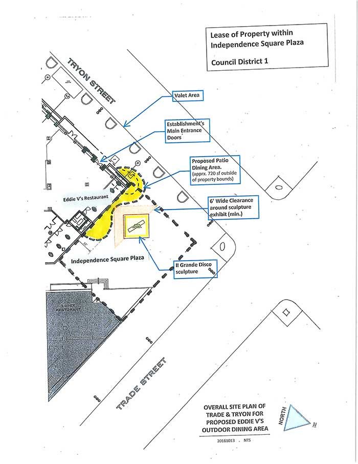
High-end seafood restaurant Eddie V’s is coming to Trade and Tryon
Add Axios as your preferred source to
see more of our stories on Google.

Bank of America Plaza header
Add Axios as your preferred source to
see more of our stories on Google.

Bank of America Plaza header